Beyoğlu TARLABAŞINDA 4 KATLI bina ARSASI

İstanbul / Beyoğlu

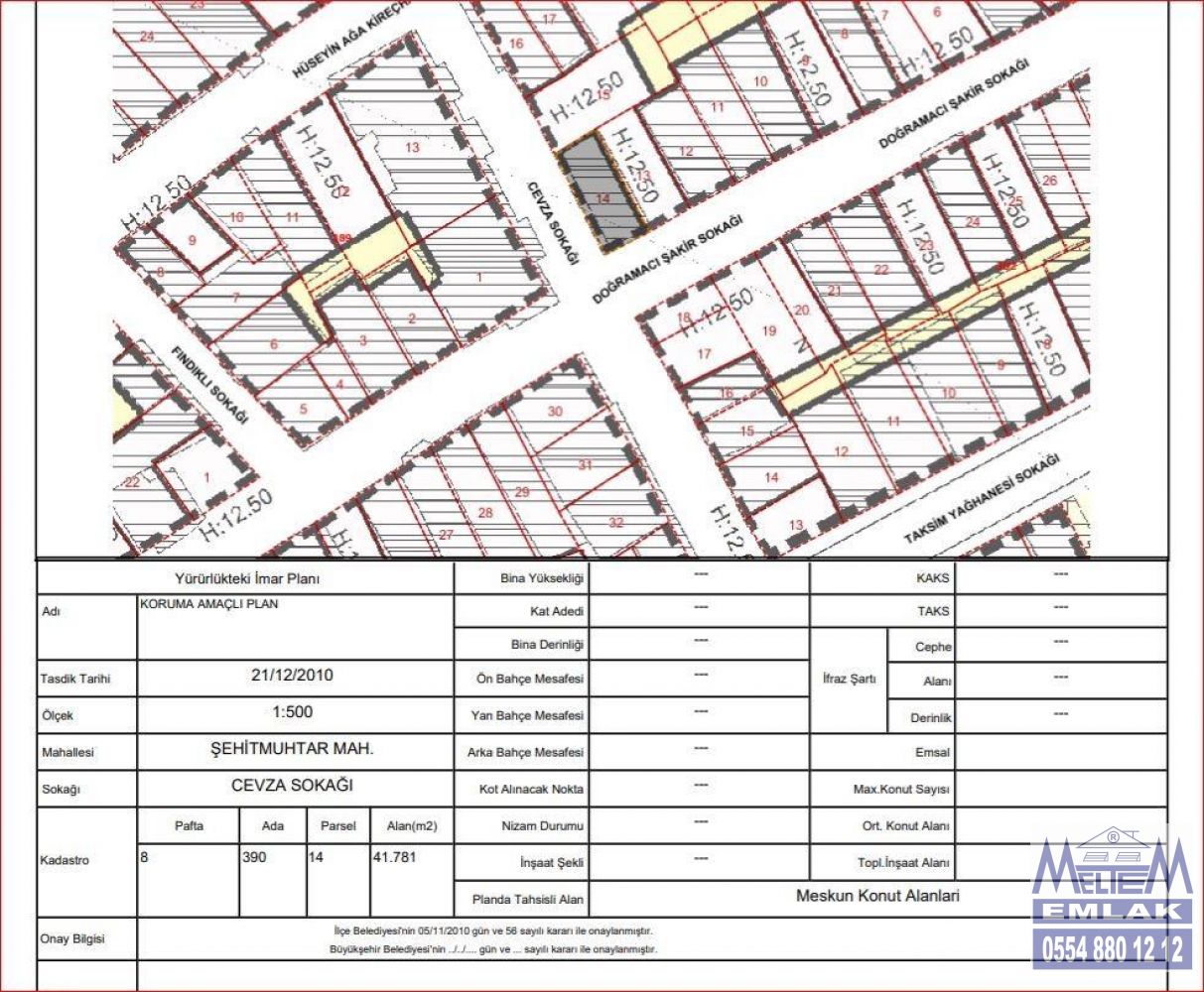
Turan Caddesi 34435

Satılık Arsa 5,500,000 TL 42 m² / (Net) 42 m²

Beyoğlu Tarlabaşı 390 Ada 14 Parselde  kayıtlı 
altında 2 depolu dükkan olan cumbalı 2.derece Türk tarihi kayıtlı yıkımı yapılmış 
,inşaata hazır 42 M2 Köşe arsadır.Takisim anıtına yürüme  5 dakika
Tarlabaşı'nda Taksim Ana Caddeye Meydan Gezi Parkına 100 metre mesafede bulunan 42m2 arsa
(+ 28 m2 arsa ;şayet istenirse bitişik 5 katlı bina için de ayrıca görüşülür)
Köşe Bina 4 katlı iken 150/180 m2 kullanılabilen alanlıdır.
Çok amaçlı olarak yıkılıp yapılırsa 200 m2 kadar kullanım alanı elde edilebilir.
Yatırımlık bir Arsadır.İstanbul'un ve turizmin gözbebeği olan 360 projesi yakınında 390 ada 14 Parsel
Bu bölgemiz kısa zamanda , arsa değerini yatırımcıya artırarak değerine değer katacaktır.
Bina altında iki ayrı depolu dükkan mevcut idi.
Değişik yenilenmiş örneklerini yakınlarında görmek mümkündür.
Butik otel ,pansiyon kiralamalar şeklinde bir çok amaçla kullanıma hazırlanabilir..
2.DERECE tarihi eserdir.
Yetkili Meltem Önder
Değerli Taleplerinizi Bekliyoruz
Meltem Emlak
TÜM İLANLARIMIZ İÇİN: 
 
Konut-İşyeri-Arsa v.b. her türlü Emlak Alım-Satım-Kiralama işlerinde sizlere yardımcı olmaktan mutluluk duyarız.
MELTEM EMLAK
İNCİRLİ CAD .FAİK KÖKSAL SOK. 8/B BAKIRKÖY/İSTANBUL 
 GSM:0554 880 12 12 -0532 2725652
Değerli Taleplerinizi Bekleriz ....
 



Bu ilan Emlak Asistanım CRM Programı tarafından otomatik entegre edilmiştir.

Ana Bilgi

Taban İnşaat Alanı42
Taks100/100
Gabari9,5
Metrekare Birim fiyati0 TL
Tapu DurumuMüstakil Parsel
Tapu Ada390
Tapu - Parsel14

Dış Özellikler

Kuyu

Konum

Havaalanına Yakın
Şehir Manzaralı
Metroya yakın
Otobana Yakın
Toplu Ulaşıma Yakın
Minibüs Caddesine Yakin
Metrobüse Yakın

Alt Yapı

Doğalgaz mevcut
Elektrik hattı
Parselli
Projeli(Ruhsatlı)
Su Hattı
Telefon Hattı
Yolu Açılmış
İfrazlı

İstanbul / Beyoğlu

İlanın Yayınlandığı Siteler

MELTEM ÖNDER
Şirket Yetkilisi
+90 554-880 12 12
Danışman İlanları Mesaj Gönder
Bize Ulaşın